Closed by ATLANTA FINE HOMES SOTHEBYS INTERNATIONAL

Property Description

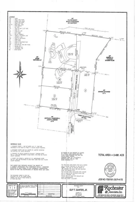
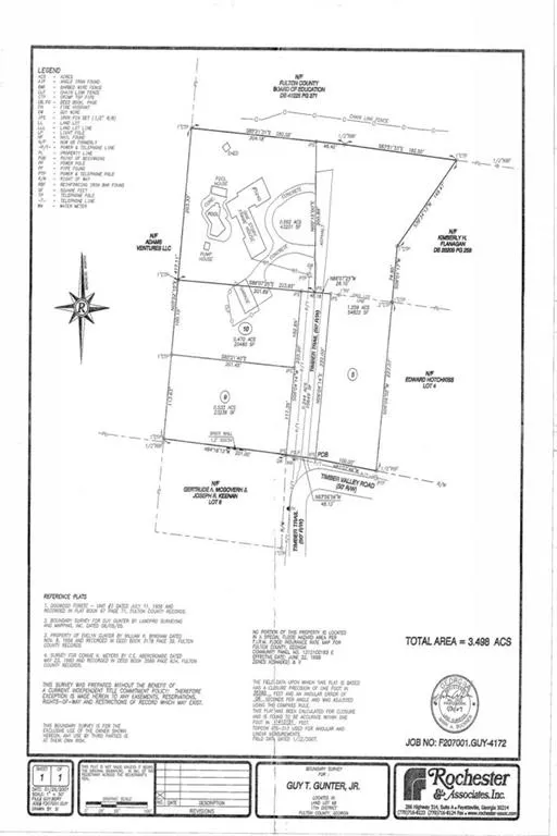
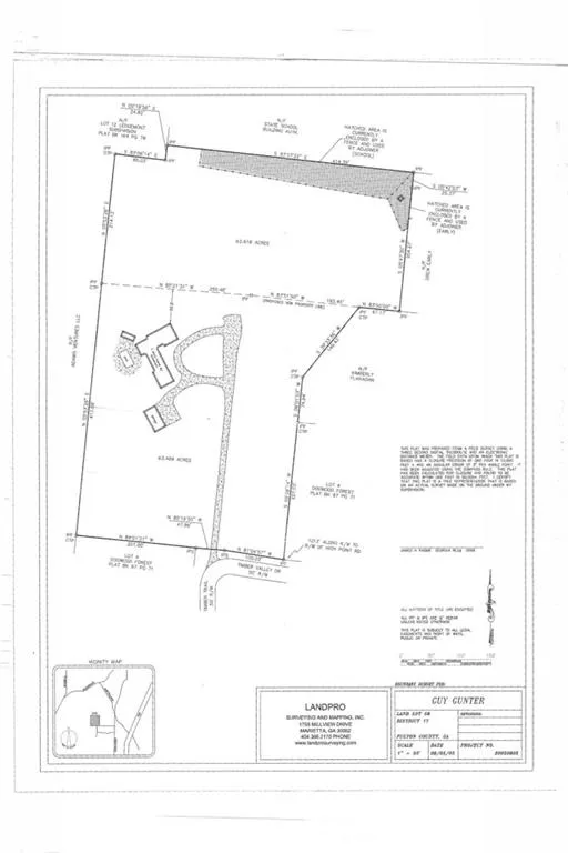
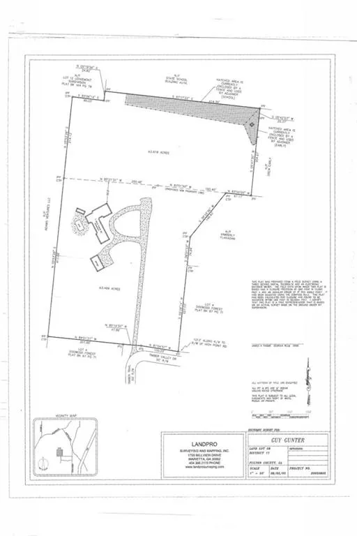
Incredible opportunity to develop +/- 3.5 acres (five parcels) in prime ITP Sandy Springs location. Accessible by private drive off Timber Valley Drive in High Point. Existing single family residence, pool & detached garage. Located within minutes of High Point Elementary, Glenridge, Chastain Park, Sprouts, The Prado, and more. Zoned R3. Perfect cul-de-sac opportunity.

Features
: No
: Other
: No
: No
: Level
: No
: Septic Tank
: Cable Available, Electricity Available, Phone Available, Water Available, Natural Gas Available
Location Details
US
GA
Fulton - GA
Sandy Springs
30342
5240 Timber Trail South Ne
0
W85° 37' 40.2''
N33° 53' 51.5''
From Windsor Parkway, north on High Point, Left (west) on Timber Valley, Right on Timber Trail. From Glenridge, South on High Point, right (west) on Timber Valley, Right on Timber Trail
Additional Details
ATLANTA FINE HOMES SOTHEBYS INTERNATIONAL
Annually
High Point
Ridgeview Charter
Riverwood International Charter
: No
: No
2016
R3
17 006800010689
NE
$1,400,000
$2,100,000

5240 Timber Trail South Ne

5240 Timber Trail South Ne, Sandy Springs, Georgia 30342

3.50 Acre
$1,400,000
Listing ID #5806731
Basic Details
Property Type : Land
Listing Type : Sold
Listing ID : 5806731
Price : $1,400,000
Lot Area : 3.50 Acre
Status : Closed
Property SubType : Single Family Residence
CloseDate : 07/20/2018
Agent info
Marci Robinson
Hirsh Real Estate- SandySprings.com
Contact Agent